Javascript Menu by Deluxe-Menu.com


2015 News Releases

 

Year

 


Vanuatu cyclone recovery has lack of immediate emergency communications

Date : 18 / 03 / 2015
Author : Jim Linton - VK3PC

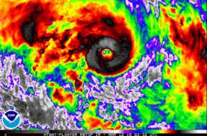
Tropical Cyclone Pam caused severe damage when it hit the Pacific nation of Vanuatu last weekend.
Recovery from the Category 5 cyclone in the archipelago will take a very long time and more bad news can be expected as rescue and recovery teams reach many islands.

The idyllic location is a haven for tourists and DXpeditioners, with all who had been there struggling to recognise damaged landmarks now being shown on TV news. No organised emergency communication system has stepped in to fill the gap left by the loss of telecommunications, with responders and the community short of vital details. Like some other Pacific countries very few local radio amateurs exist, and no communication has been heard from many islands.

Ironically Vanuatu President Baldwin Lonsdale was in Japan at the UN World Conference on Disaster Risk Reduction when the cyclone struck his country. He made an emotional plea for humanitarian assistance and has since returned to Vanuatu. During the UN conference, held in Sendai, International Amateur Radio Union Region 3 (IARU R3) was represented on a panel organised by the International Telecommunication Union Development (ITU-D) Sector. The panel also included delegates from Japan, the Philippines, and Uganda. IARU Region 3 Secretary Ken Yamamoto JA1CJP, explained how Amateur Radio can contribute to Disaster Risk Reduction. Warnings or rescue requests can be the emergency communications traffic in the early phase of a disaster.

Philippines Deputy Executive Director, Information and Communications Technology Office, Department of Science and Technology, Nicolas D. Ojeda Jr, told the panel that Amateur Radio was very helpful in maintaining communication between communities and disaster relief organisations following Typhoon Haiyan in November 2013. In most major disasters electricity is cut, normal communications are overloaded or out of service, while Amateur Radio with its alternative power can provide vital messaging to help the responders and their community.

The outcome at Sendai is another example of the ongoing work being done by the IARU to further emergency communications provided by skilled and trained radio amateurs.

-Jim Linton VK3PC, Chairman IARU Region 3 Disaster Communications Committee.



 

Click Here To Return To Previous Page
© 2026 Wireless Institute of Australia all rights reserved.
The National Association for Amateur Radio in Australia
A member society of the International Amateur Radio Union (IARU)